family CERAMBYCIDAE Latreille, 1802
subfamily LEPTURINAE Latereille, 1802
tribe Lepturini Latreille, 1802
genus Leptura Linnaeus, 1758
Leptura annularis annularis Fabricius, 1801
subgenus Leptura, Linnaeus, 1758









Velikost 12-18 mm.
Bionomie. Okraje smíšených listnatých lesů, povodí toků, lesní louky. Larvy mnohem častěji v tenčích kmíncích nebo silnějších větvích. - Imága se vyskytují v VI. – VII., maximum v druhé polovině VI. na různých květech, zejména Apiaceae, Rubus, Rosa, Aruncus aj.
Živné rostliny - od nás uváděn z Alnus. Ze Sibiře také Alnus, Populus tremula, Betula, Tilia, Quercus, Acer, Padus, Abies aj.
Variabilita. Černé zbarvení pásek může být přerušované, vzácně se rozšiřuje.
Leptura quadrifasciata Linnaeus, 1758
subgenus Leptura, Linnaeus, 1758
Leptura quadrifasciata quadrifasciata Linnaeus, 1758











Leptura quadrifasciata lederi Ganglbauer, 1882







Velikost 11-23 mm.
Bionomie. Listnaté lesy původního i kulturního charakteru, povodí řek. Vývoj ve zcela odumřelém dřevě, v silnějších stojících souších, na zemi ležícím dřevě, odumřelém dřevě dutin živých stromů, u některých dřevin v pařízcích i pařezech. Dřevo během let vývoje bývá již ve značném stupni rozkladu. Ve stejném dřevě se může vyskytovat i několik generací. Často ve velmi vlhkém dřevě pařezů i na zemi ležících kusů, stejně jako v suchém dřevě stojících kmenů. Doba vývoje pravděpodobně tříletá. Přezimuje jako larva. - Imága se vyskytují od konce VI. do VIII., maximum VII. na různých květech, zejména Apiaceae.
Živné rostliny - Vývoj především ve Fagus a Betula, dále Alnus, Salix ; dále se uvádí též Populus, Corylus, Aesculus, Tilia, Quercus, Sambucus.
Variabilita. Černé zbarvení pásek na krovkách se může rozšiřovat až jsou krovky téměř celé černé, nebo může být redukováno, nebo jen naznačeno.
Leptura aurulenta Fabricius, 1792
subgenus Leptura, Linnaeus, 1758









Velikost 12-23 mm.
Bionomie. Listnaté lesy s dostatkem ponechaného odumřelého dřeva od nížin do hor. Vývoj imág ve zcela odumřelém dřevě silnějších průměrů, ve stojících mrtvých stromech, odumřelých větvích, v odumřelém dřevě živých stromů bez kůry (v lysinách), utinách, na zemi ležících ponechaných kmenech a spadlých větvích. Dává přednost vlhčímu dřevu ležícímu i ve stínu. Larvální chodby jdou často až 25 cm hluboko do dřeva. Přezimuje jako larva. V době výletu imág bývá dřevo již značně rozloženo houbami. Doba vývoje zřejmě nejméně tříletá. - Imága se vyskytují v VII. – VIII., maximum VII., na jihu Moravy a Slovenska již v VI. Samičky se vyskytují nejčastěji na dříví, samečci více na květech Apiaceae, Carduus, Rubus aj.
Živné rostliny - Vývoj jsem zjistil pouze ve Fagus (Slovensko) a Castanea (Řecko); Carpinus; uvádí se též Alnus, Betula, Quercus, Juglans, Populus, Salix, Ulmus.
Variabilita. Černé příčné pásky na krovkách se mohou rozšiřovat a na švu spojovat, nebo mohou být přerušeny, nebo po nich může zůstávat zbarvený hnědě jen podklad.
Leptura aethiops Poda von Neuhaus, 1761
subgenus Leptura, Linnaeus, 1758





Velikost 10-15 mm.
Bionomie. Vývoj ve zcela odumřelém dřevě, zjistil jsem vývoj vždy pouze v pařízcích o průměru 15 – 30 cm, jejichž dřevo již bylo narušeno houbovým rozkladem. Přezimuje jako larva. Imága se vyskytují v V. – VII. na různých květech, Apiaceae, Cornus aj.
Živné rostliny - Alnus, Betula, Corylus; Salix, Tilia; Carpinus; Quercus.
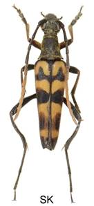
Leptura thoracica (Creutzer, 1799)
subgenus Macroleptura Nakane & K. Ohbayashi, 1957

















Velikost 17-30 mm.
Bionomie. Původní velkoplošné staré bukové porosty. Vývoj ve zcela odumřelém dřevě Fagus, ať již zcela mrtvých stromů, nebo jen částečně odumřelých. Velmi zřídka vývoj probíhá v ležících kmenech nebo špalcích, ponechaných po těžbě, v pařezech jsem ho nikdy nezjistil. Dává přednost silnému materiálu o průměru od 40 do 100 i více cm. Samička klade vajíčka nejčastěji do horních částí mrtvých stojících zlomů od 5 m i více než 20 m vysoko, výjimečně níže. U ležícího dřeva klade většinu vajíček do prasklin na místech řezu nebo lomu, u stojících stromů do prasklin v místech, která mají dosud kůru, i tam, kde již kůra není, často též do míst po odlomených větvích. Larvální chodby dosahují šířky až 17 mm. Jsou ucpané drtinami a nacházel jsem je 4 – 30 cm hluboko, nejčastěji 12 – 20 cm. Před zakuklením se larvy prokousávají k povrchu dřeva, vyhlodávají kukelní komůrku a onechávají většinou 1 – 4 mm (někdy až 15 mm) silnou vrstvičku dřeva k prokousání imágu. Kuklí se obvykle přímo pod povrchem dřeva ve vodorovné nebo mírně nakloněné poloze. O vyhlodání přibližně vodorovné komůrky se larva snaží aP již ve stojícím, nebo ležícím dřevě. Komůrka je dlouhá obvykle 3 – 5 cm. Velmi zřídka komůrka pokračuje hlouběji do dřeva, mírně se stáčí směrem vzhůru a dosahuje hloubky až 8 – 10 cm. Larvy se kuklí od začátku VI. do začátku VII., doba trvání kukelního stadia je 2 – 3 týdny. Podle instarů nalezených larev je zřejmý čtyřletý vývoj. Výletové otvory jsou kruhového tvaru. Ve stejném místě kmene stojícího stromu se může vyvíjet i 4 – 5 generací a v celém stromě 8 až 10 generací. V ležících kmenech jsem zjistil jednu, výjimečně dvě generace, protože bukové dřevo se ve vlhku velmi rychle rozkládá. Poměr venku nalezených jedinců k počtu opuštěných požerků je nepatrný. Na napadených stromech bývají desítky výletových otvorů. Při kácení pralesa jsem v jednom případě na dolní části poraženého stromu napočítal na délce cca 12 m téměř 300 čerstvých výletových otvorů. Horní část se pádem rozbila a bylo na ní nespočítatelné množství dalších starých otvorů. První brouci opouštějí dřevo již plně vybarveni v posledních dnech VI., ale nejsilnější rojení spadá přibližně do poloviny až druhé poloviny VII. Venku se imága vyskytují ještě v VIII. Imága chovaná v zajetí žila 2-3 týdny.
Živné rostliny - Na Slovensku a v Zakarpatské Ukrajině byl zjištěn vývoj výhradně ve Fagus, přestože v místech výskytu byl dostatek jiných dřevin v různém stupni odumření. V Polsku (Puszcza Bialowieska) je udáván výskyt v Populus tremula, Betula pendula a Tilia cordata.
Variabilita. Samci jsou žlutočervení, samice mají černé krovky, ale mohu je mít i žlutočervené nebo začernalé. Štíty, nohy a tykadla u obou pohlaví mohou být žlutočervené i černé.
SK Fagus






